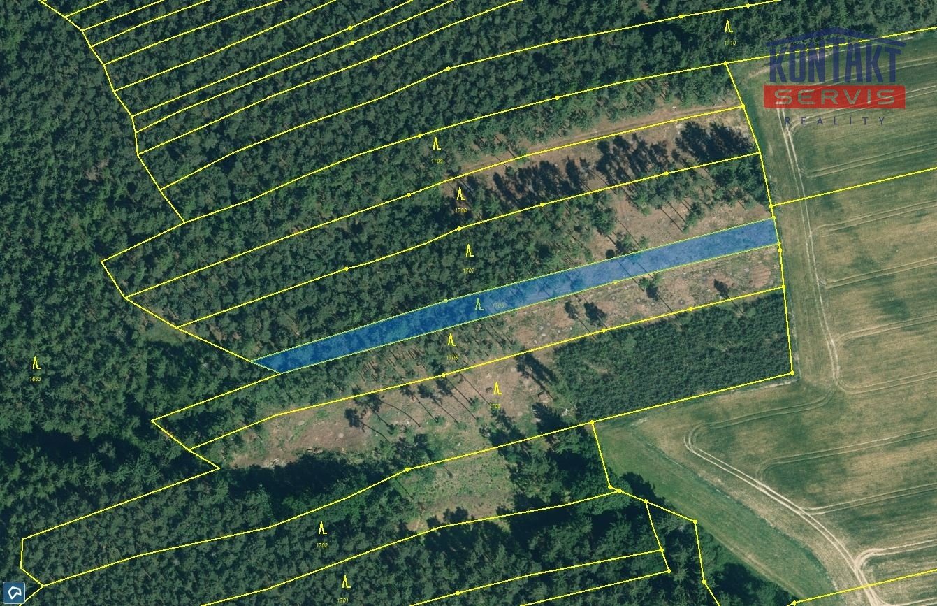
Prodej unikátních lesních pozemků v katastrálním území Hodyně u Dřevce
Finanční kalkulačka
Líbí se Vám tato nemovitost, ale nemáte v současné době dostatek finančních prostředků? Rádi Vám poskytneme možnost financování.
Částka: Kč | Úrok: % |
Doba splácení: let | Měs. splátka: Kč |
V malebné krajině nedaleko obce Hodyně, nabízíme k prodeji výjimečné lesní pozemky o celkové rozloze 1,6 hektaru. Tyto pozemky, rozdělené do šesti samostatných funkčních celků, se nacházejí ve vlastnictví jednoho majitele, což zajišťuje snadnou a transparentní správu. Lesní pozemky jsou rozděleny do šesti samostatných funkčních celků, všechny ve vlastnictví jediného majitele. Převládající porosty tvoří majestátní borovice, které jsou doplněny olší, topolem, modřínem a trnovníkem. Menší zastoupení zde mají smrky a břízy. Tato druhová rozmanitost zajišťuje stabilitu a zdravý vývoj lesního ekosystému. Věková skladba porostů je pestrá, od mladých 11letých stromků po staleté velikány ve věku 127 let. Celková dřevní zásoba činí přibližně 385 m3, z čehož 220 m3 tvoří mýtní borovice a 77 m3 předmýtní borovice. Tyto údaje svědčí o vysoce kvalitní dřevní zásobě, která je klíčem k dlouhodobé hodnotě těchto pozemků. Jeden z pozemků přímo sousedí s Kralovickým potokem, který dodává lesu přirozenou vláhu a přispívá k jeho ekologické rovnováze. Tento přirozený vodní zdroj zvyšuje atraktivnost a přirozenou hodnotu nemovitosti. Platnost lesního hospodářského plánu je do 31. 12. 2029, což zajišťuje plánovaný a udržitelný rozvoj. Přesná výměra prodávaných lesů činí 16.790 m2. Pro více informací nás kontaktujte na níže uvedených kontaktech. Pro více informací nás kontaktujte na níže uvedených kontaktech. Těšíme se na vaše dotazy!
















